For a better view of the website, update your browser.
Those browsers has new features built to bring you the best of the web.
MLS: 420173

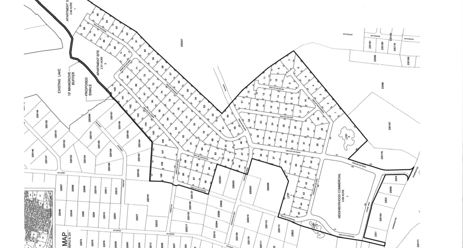
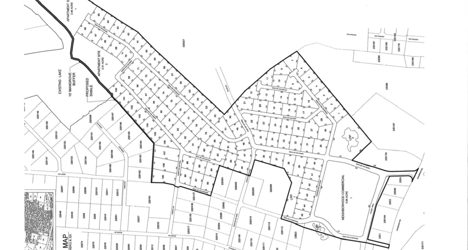
Red Bay - Massive 112 Parcel 53 Acre Dev't Site

Prospect, Cayman Islands

US$25,000,000

Share Property

About this property

Massive 53 acre development site! Already master planned with 109 residential lots. Two apartment sites of over 2 acres each on the lake and waterway. Commercial site of over 5.5 acres, and roads throughout that link up to existing neighbouring developments. There is waterway access leading into the North Sound, so attractive for easy boating access. A tremendous amount of work on the whole site has already been completed, including filling most of the site. While some work is still left to finish up, these lots and sites can start selling very soon. The whole surrounding area is comprised of existing development with a great amount of infrastructure already in place, so this will be a high demand area for these lots and sites. Good opportunity to also develop some sites yourself or joint venture with a developer, especially with the apartment sites and commercial site. There is a tremendous scope of profit from the sale of these lots and sites and possibly some development of them. Master planned development sites of this size and quality in the confines of well established neighbourhoods and this close to George Town, just don’t exist in Grand Cayman. This is a great opportunity to profit from the increasing demand for this type of property over the long term.

Show More ...

Property details

Red Bay - Massive 112 Parcel 53 Acre Dev't Site

Status

New

View

Inland

Listing Type

Low Density Residential

Block & Parcel

22D / 320,447

Acres

53.69

Direction

Just as you pass Grand Harbour heading to the east

the entrance is next to Popeyes off Shamrock Road.

Location

Prospect, Cayman Islands

Mortgage estimate

30
25000000.00$
20
5
30

Your estimated monthly mortgage payment

$107,364
Mortgage Size
$5,000,000
Mortgage Interest
$0
Total Mortgage Paid
$20,000,000

*Our Mortgage Calculator lets you estimate your monthly mortgage payment input different house prices, terms, interest rates, and down payments and see varying monthly loan amounts.

Highlights

Land
Type
53.69
Acres
650
Width
3,500
Depth
New
Status

Interested in this Property?

*Denotes Required Inputs

We use cookies

to give you the best experience Privacy Policy.